Super-resolution made easier?
Published in Electrical & Electronic Engineering
It has been nearly a decade since the super-resolution fluorescence microscopy was rewarded by the Nobel Prize in 2014, and after tremendously advancing by these years, it is on its way to becoming a standard biomedical research tool.
For me, there are two pathways for developing super-resolution methods.
- One is the mainstream way of designing sophisticated acquisition devices or specific imaging control for pushing the spatiotemporal resolution further, such as SIM, STED, and PALM/STORM.
- The other one is the fluctuation-based super-resolution methods, i.e., SOFI. Using the natural photophysics of fluorescence, SOFI can routinely break the diffraction le.g.imit with no need for additional optical components.
In the super-resolution imaging ecosystem, SOFI (160 nm resolution with ~1,000 frames needed) has been in an awkward position for its uncompetitive spatiotemporal resolution compared to SMLM (20 nm resolution with ~50,000 frames needed) or SIM (120 nm resolution with ~15 frames needed), and has not been widely known/used by biologists. The long acquisition time (at least 1,000 frames required) poses a challenge for high-throughput imaging and the visualization of transient cellular dynamics.
To meet this challenge with further enhancing the unique flexibility of SOFI, we propose SACD (Super-resolution imaging based on Auto Correlation with two-step Deconvolution). Our method significantly reduces the number of frames required by maximizing the detectable fluorescence fluctuation behavior in each measurement. SACD requires only 20 frames to achieve a twofold improvement in lateral and axial resolution (120 nm resolution with ~20 frames needed).
Abstractly, the individually fluctuating molecules distributed in the strong background are like the “shining stars in the mist”. Our core intention was to dispel such “mist”, enabling high-quality super-resolution with massively increased efficiency.
Price and flexibility of different super-esolution methods. Flexibility denotes the difficulty of use and the compatibility of labels, samples, and systems. Borrowed heavily from Prakash, Kirti, et al. Philosophical Transactions of the Royal Society A 380.2220 (2022): 20210110.

SACD (this work): Super-resolution imaging based on Auto Correlation with two-step Deconvolution. STED: stimulated emission depletion. SIM: structured illumination microscopy. MINFLUX: minimal photon fluxes. PALM: photoactivated localization microscopy. FPALM: fluorescence photoactivation localization microscopy. STORM: stochastic optical reconstruction microscopy. SOFI: super-resolution optical fluctuation imaging. ISM: image scanning microscopy. RESOLFT: reversible saturable/switchable optical fluorescent transition. SRRF: super-resolution radial fluctuations. MUSICAL: multiple signal classification algorithm. ROSE: repetitive optical selective exposure. SIMPLE: structured illumination based point localization estimator. SIMFLUX: from localization microscopy at doubled precision with patterned illumination. ModLoc: modulation localization microscopy.
In summary:
- SACD only needs 20 frames to achieve twofold 3D resolution improvements, which requires ~1,000 frames in conventional SOFI. SACD achieves a SIM-level resolution with a similar number of frames and is more suitable for 3D deep imaging with better contrast (Fig. 2).
Fig. 2 | Validation for the 3D-resolution doubling of SACD and large field-of-view volumetric imaging.
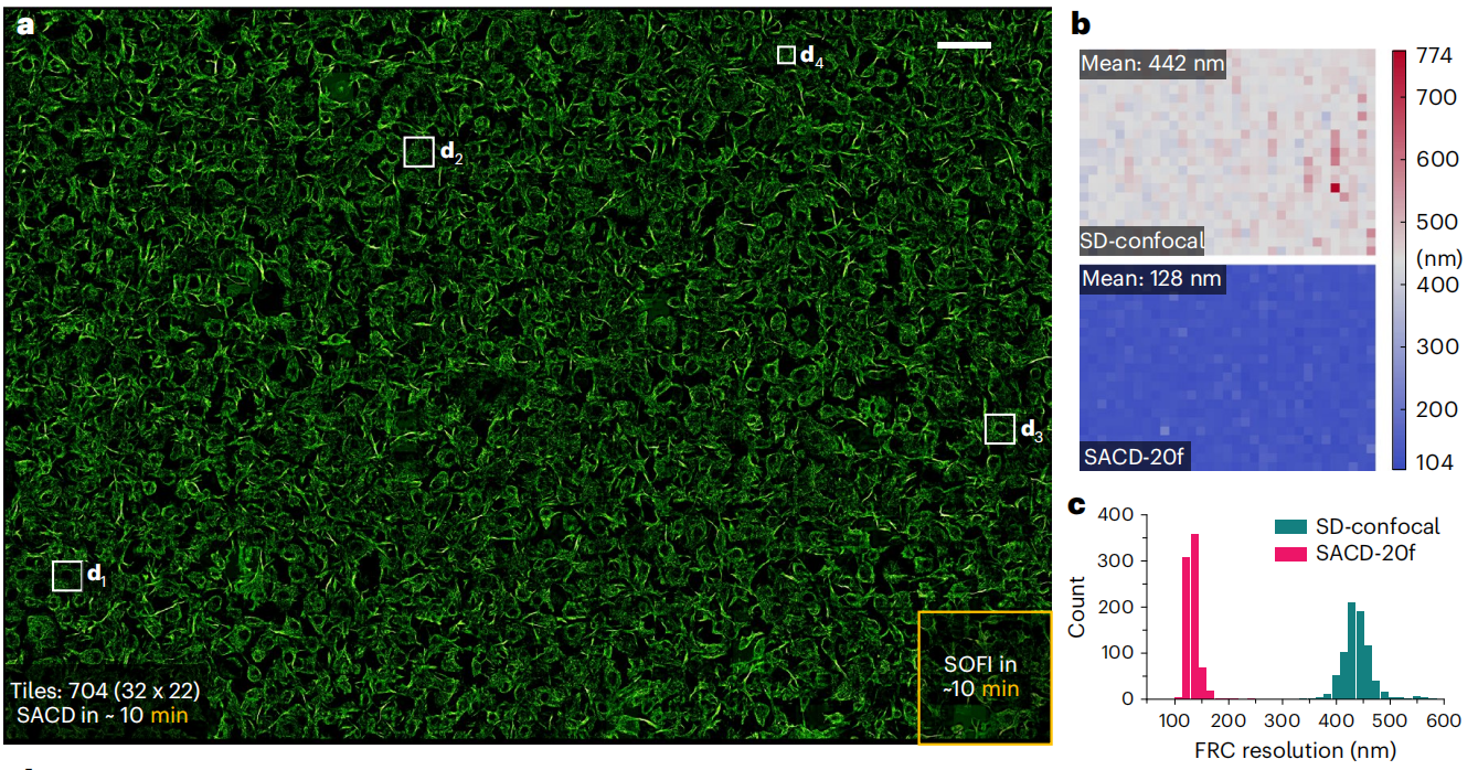
- Using SACD, we can directly realize high-throughput SR imaging. By providing a fully automatic SR reconstruction, we applied SACD directly to achieve high-throughput gigapixel SR imaging, with a stable 128 nm resolution, over a millimeter-level (2 mm × 1.4 mm) area, containing >2,000 cells, in ~10 minutes (Fig. 3).
Fig. 3 | High-throughput super-resolution imaging with SACD.
- Sparse-SACD allows fast 4D SR live-cell imaging. To maintain the image fidelity under ultralow SNR conditions, we also incorporate our newly developed Sparse deconvolution method (Nat. Biotechnol. 40, 606–617, 2022) (see also my another #behindthepaper post), for maximizing the utilization of accessible photon flux (Sparse-SACD). The improved stability and temporal resolution make visualizing the intricate and transient dynamic processes feasible in live cells. We captured a super-resolved 3D mitochondrion network in stretching during ten minutes of imaging, revealing the mitochondrial fission and fusion occurring across 4D in whole-cell (Fig. 4).
Fig. 4 | 4D live-cell SR imaging using Sparse-SACD.
Lateral and spatial resolutions of different super-resolution methods. SOFI with 2nd order. Borrowed heavily from Prakash, Kirti, et al. Philosophical Transactions of the Royal Society A 380.2220 (2022): 20210110.

Combining a commercial system directly, our SACD enabled high-throughput and 4D live-cell imaging for the first time to our knowledge in the field of fluctuation-based SR techniques, in which it may facilitate the biology studies of cells and organisms with high-throughput and low-cost that were inaccessible previously. Given that it has the great potential to offer a direct and flexible add-on SR feature on any off-the-shelf commercialized microscopes or in-house customized systems, we anticipate that the SACD (upon any wide-field/TIRF/confocal systems) will become the next workhorse for biologists to dissect intricate and transient dynamics in live cells.

The effective imaging field-of-view within 10 minutes of different modalities. Here, the 'SIM' denotes the SpinSR10 (spinning-disk confocal super-resolution microscopy) system from the Olympus company.
With better-utilized photophysics of fluorescence probes, we expect this will be a huge boost to the SR family or even the entire bio-imaging field, and we hope our SACD can make super-resolution easier.
Open sourced MATLAB library and ImageJ plugin available at GitHub, and the Python version will be released soon.
Follow the Topic
-
Nature Photonics
A monthly journal dedicated to this exciting field and publishes top-quality, peer-reviewed research in all areas of light generation, manipulation and detection.
Please sign in or register for FREE
If you are a registered user on Research Communities by Springer Nature, please sign in